조황관리HOME / 조황관리 / 상세정보

제목 : 토요일 1항차 출조 ~~50급부터 마릿수부터 낱마리까지~~~내일도
등록일 : 2026-01-17
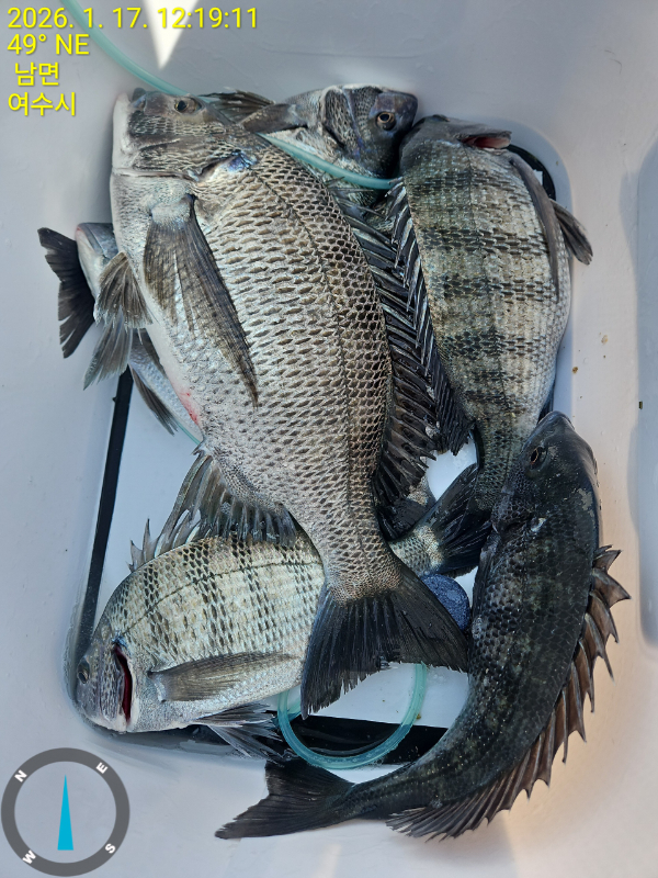
#감성돔조황 
순수 갯바위조황입니다.선상조황 한컷도 없는~~~

오늘은 선장님 컨디션이 안좋아 오신다는 손님들도
다 받지못하시고 1항차로 다녀옵니다.

오늘은 로얄경기연맹 2회차 연속 1등을 하신 하남현 회원님께서 찾아주셔서 46포함 7수부터 잡아주셨고

박사장님은 오늘장원 할뻔한 하셨다는데 ~~~큰감성돔 
뜰채담다 빠져 엄청 아쉬워하셨네요.

잡는분들이 제법있으셨네요.



날씨가 추워질수록 씨알급 감성돔들의 손맛이 
더 좋아질것같습니다.
잡어 미끼 게 꼭 챙기세요.
모두 수고들하셨습니다.
======================================
대표전화(꼭 선장님폰으로) : 010.3608.2308 
네비주소:여수시 돌산읍 성두길 43번지
출조하신 조사님들 전원 손맛보는 날까지 열심히해보겠습니다
잡어미끼 챙기세요
밴드와.선상24시 가입하시면 실시간 조황과 빠른 조황 확인가능합니다.







======================================
안도,금오도.연도 출조(종일낚시)
평일 3-4시 출조 -철수 ~~~
주말출조와 철수시간 ㅡ변동 있으니 문의 주십시오
======================================
ㅡ배만승선 환영ㅡ
올해는 더더 밑밥원가가 너무 인상되어 부득이 
압맥을 감하였습니다.
밑밥5.감성천하2.압맥2..백.생 중1 ㅡ90.000원
예약시 밑밥필요하신분 주문만 받습니다.
​ㅡ가.감 가능
​대표전화(선장님) : 010-3608-2308
네비주소:여수시 돌산읍 성두길 43번지
======================================
***조사님들께서 부탁,양해의 말씀 올립니다***
매일 연도,안도,금오도 쪽으로 출조를 가지만 선장님이 생각하는 코스가 따로 있습니다.
예약을 하실때 혹시 가시고자 하는 자리가 꼭 있으신 분은 여쭤보시고 예약해주세요
그리고 당일 현장 기상이변으로 예약자리 못 내리실수 있으니 날이 좋지않아도 그자리만을 고집하시는분은 예약 자제해주십시요
======================================
출조시 안내사항
여수그랜드맥스호 010 3608 2308
1. 신분증 꼭 챙겨오세요.ㅡ필수입니다.
신분증 없을시 승선불가 대상입니다.
2. 배 승선시 선실 안.밖에서 마스크 착용부탁드립니다.
3. 구명 조끼 .신발.꼭 착용 부탁드립니다.
=====================================
●네비찍고오시다가 터널 지나면서 향일암방면 좌회전
하지 마시고화태,돌산읍 방면으로직진하심 길이 훨 편합니다.
●민가가 대부분이라 새벽시간 옆집의 소음 피해로
차문살짝.그리고 조용히 해주십시요
●네비찍고 오시면 마트.낚시점이 없으니 미리챙겨오세요
●요즘 돌산 평사길이나 돌산 들어오는길 속도위반,어린이보호구역 카메라가
몇개 설치되어 있으니 안전속도 지키시고 오세요
#감성돔조황
1000138453.jpg


1000138456.jpg

1000138461.jpg



1000138446.jpg


1000138445.jpg


1000138440.jpg


1000138443.jpg


1000138439.jpg


1000138438.jpg


1000138450.jpg


1000138449.jpg


1000138448.jpg


1000138447.jpg


1000138442.jpg


1000138454.jpg
 




*** 여수 그랜드맥스호 예약안내 ***


예약문의
 

선상낚시 : 010-9475-2308

갯바위(선장님) : 010-3608-2308

오시는길
선상낚시 : 전남 여수시 어항단지로 18 (소경도대합실 앞)
갯바위 : 전남 여수시 돌산읍 성두길 43


모바일.gif 



Top