조황관리HOME / 조황관리 / 상세정보

제목 : 8수.6수부터~~~내일도 쭉쭉달립니다.
등록일 : 2026-03-28

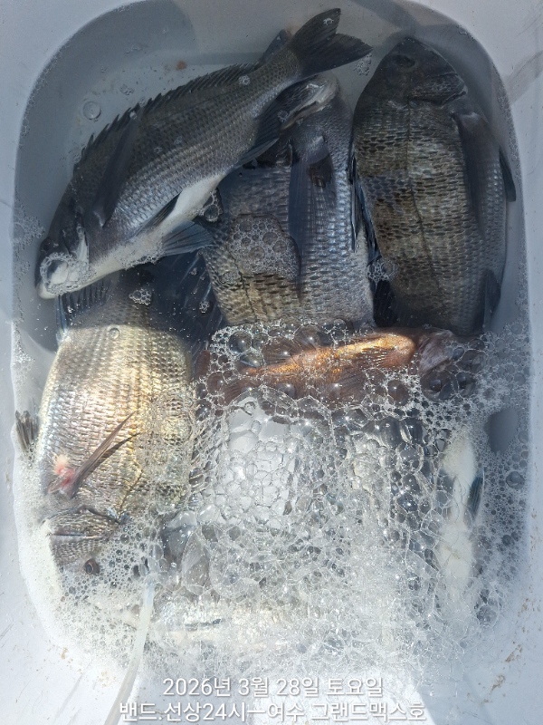
#감성돔조황

감성돔 시즌이 저물어가는듯 주말이라도
많지 않은 조사님들과 다녀옵니다

1ㅡ2쿨러는 패스하셨네요.낱마리라
~마릿수 8수.6수부터~~~
 

3월29일 일요일~~~출조 예약중
3월30일 월요일~~~출조 예약중
3월31일 화요일~~~개인적인 일로 휴항
4월1일 수요일~~~출조 예약중
4월2일 목요일~~~출조 예약중
4월3일 금요일~~~출조 예약중
4월4일 토요일~~~출조 예약중
4월5일 일요일~~~출조 예약중
4월6일 월요일~~~출조 예약중


 

#내일도 출똥합니다.
#갯바위출항지는ㅡ돌산성두항입니다.(예약후국동항가서계시는분계시네요.출조지확인부탁드립니다)

예약후 출항지 밴드서 꼭 확인부탁드립니다.
순수 갯바위조황입니다.선상조황 한컷도 없는~~~
모두 수고들하셨습니다.

잡어 미끼 꼭 챙기세요.
======================================
대표전화(꼭 선장님폰으로) : 010.3608.2308
네비주소:여수시 돌산읍 성두길 43

밴드와.선상24시 가입하시면 실시간 조황과 빠른 조황 확인가능합니다.

밴드 - http://band.us/@grandmax #

선상24시 https://grandmax.sunsang24.com/

======================================
안도,금오도.연도 출조

평일 3-4시 출조 -철수 2시부터~~~
주말출조와 철수시간 ㅡ변동 있으니 문의 주십시오
======================================

선비ㅡ6만원

예약시 밑밥 필요하신분~~

선비+밑밥5.감성천하2.압맥2..백.생 중1 ㅡ90.000원

​ㅡ본인 스타일대로 ~~가.감 가능 

======================================
***조사님들께서 부탁,양해의 말씀 올립니다***
매일 연도,안도,금오도 쪽으로 출조를 가지만 선장님이 생각하는 코스가 따로 있습니다.
예약을 하실때 혹시 가시고자 하는 자리가 꼭 있으신 분은 여쭤보시고 예약해주세요
그리고 당일 현장 기상이변으로 예약자리 못 내리실수 있으니 날이 좋지않아도 그자리만을 고집하시는분은 예약 자제해주십시요
======================================
출조시 안내사항
여수그랜드맥스호
1. 신분증 꼭 챙겨오세요.ㅡ필수입니다.
신분증 없을시 승선불가 대상입니다.

2. 구명 조끼 .갯바위신발.꼭 착용 부탁드립니다.
=====================================
●네비찍고오시다가 터널 지나면서 향일암방면 좌회전
하지 마시고화태,돌산읍 방면으로직진하심 길이 훨 편합니다.
●민가가 대부분이라 새벽시간 옆집의 소음 피해로
차문살짝.그리고 조용히 해주십시요
●네비찍고 오시면 마트.낚시점이 없으니 미리챙겨오세요
●요즘 돌산 평사길이나 돌산 들어오는길 속도위반,어린이보호구역 카메라가
몇개 설치되어 있으니 안전속도 지키시고 오세요
#감성돔조황
1000144116.jpg


1000144115.jpg


1000144114.jpg


1000144113.jpg


1000144122.jpg


1000144125.jpg






*** 여수 그랜드맥스호 예약안내 ***


예약문의
 

선상낚시 : 010-9475-2308

갯바위(선장님) : 010-3608-2308

오시는길
선상낚시 : 전남 여수시 어항단지로 18 (소경도대합실 앞)
갯바위 : 전남 여수시 돌산읍 성두길 43


모바일.gif 



Top